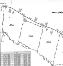
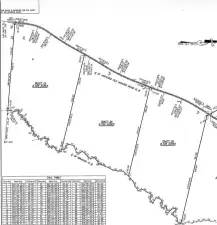
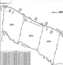
Jackson County Acreage Tracts – 8.79 Acres to 10.4 Acres with Creek Frontage Rare opportunity to purchase beautiful estate-sized lots ranging from 8.79 to 10.4 acres in desirable Jackson County featuring excellent road frontage, mature wooded settings, and a scenic creek running across most parcels. These gently contoured tracts offer outstanding privacy and natural beauty, ideal for a custom home, private retreat, or mini-farm. Zoned Agricultural, the property provides flexibility while maintaining a peaceful rural atmosphere. Each lot will be deed-restricted to prohibit mobile or manufactured homes, preserving long-term value and overall quality throughout the development. Opportunities to acquire acreage tracts of this size and quality in Jackson County are increasingly rare. Secure your piece of countryside today and build the lifestyle you’ve been waiting for.
Property Details
Price:
$365,750
MLS #:
7716905
Status:
Active
Beds:
0
Baths:
0
Type:
Land
Subtype:
Other
Listed Date:
Feb 9, 2026
Schools
Elementary School:
South Jackson
Middle School:
East Jackson
High School:
East Jackson
Interior
Exterior
Community Features
None
Fencing
None
Lot Features
Private, Stream or River On Lot
Other Structures
None
Patio And Porch Features
None
Security Features
None
View
Trees/Woods
Waterfront Features
Stream
Financial
Tax Year
2024
Map
Contact Us
Mortgage Calculator
Community
- Address01A Old Hunter Road Statham GA
- SubdivisionNone
- CityStatham
- CountyJackson – GA
- Zip Code30666
Subdivisions in Statham
- Ashley Meadows
- Bowman Estates
- Bowman Meadows
- Clyde A & Frances G Thronton
- Cofer Estates
- Ellerbe Estate
- Evergreen Ridge
- Fairfield Springs
- Frank Autry
- Grand Oaks
- Heather Estates
- Jackson Pointe
- Madison Oaks
- NO HOA + 7.91 acres
- Preserve at Dove Cove
- Preserve At Dove Creek
- Richmond Woods
- Robert Vanderford
- Statham Place
- Sutton’s Landing
- The Georgia Club
Property Summary
- Located in the None subdivision, 01A Old Hunter Road Statham GA is a Land for sale in Statham, GA, 30666. It is listed for $365,750 and features 10 acres. To schedule a showing of MLS#7716905 at 01A Old Hunter Road in Statham, GA, contact your Windsor Realty agent at 678-395-6700.
Similar Listings Nearby

01A Old Hunter Road
Statham, GA
