Seize this incredible opportunity in a desirable Austell location! This spacious lot backs up to a beautiful creek! Whether you’re a builder, investor, or future homeowner, this lot offers endless potential to bring your vision to life!
Property Details
Price:
$35,000
MLS #:
7706867
Status:
Pending
Beds:
0
Baths:
0
Type:
Land
Subtype:
Single Family Residence
Subdivision:
Paces Creek
Listed Date:
Jan 20, 2026
Schools
Elementary School:
Bryant – Cobb
Middle School:
Lindley
High School:
Pebblebrook
Interior
Exterior
Community Features
Near Schools, Near Shopping
Fencing
None
Lot Features
Level, Other
Other Structures
None
Security Features
None
View
Trees/Woods
Waterfront Features
None
Financial
Tax Year
2024
Taxes
$1
Map
Contact Us
Mortgage Calculator
Community
- Address6609 Crossing Creek Point Austell GA
- SubdivisionPaces Creek
- CityAustell
- CountyCobb – GA
- Zip Code30168
Subdivisions in Austell
- Ambercrest
- Anderson Park South
- Anderson Ridge
- Bishops Row
- Blairs Bridge Condos
- Brandemere
- BRENDA VIEW
- Cameron Woods
- Cameron’s Crossing
- Camerons Crossing
- Cardinal Valley
- Cherokee Hills
- Chester Heights
- Chestnut Grove
- Cheyenne Estates
- Chimney Hill
- Clay Clyde
- Clyde Clay
- Cobblestone
- CONCORD MILL
- Concord Station
- Creekside Overlook
- Crestview
- CRESTVIEW TOWNHOMES
- Crestview Twnhms
- Crown Point
- CROWN POINTE
- Cureton Woods
- Cypress Club
- Deerfield Creek
- Dogwood Place
- Drew Place
- Elan Brookwood
- Ewing Down
- Flagstone
- Flintshire
- Flintshire Estates
- Floyd Oaks
- Floyd Point
- Fred Mcduffie Prop
- Golden Acres
- Gordon Acres
- Gordon Commons
- GRANVILLE ESTATES
- Greystone
- HARCOURT MANOR
- Heritage Hills
- Heritage Place
- HIDE-A-WAY HILL
- Hillcrest Estates
- Hillsdale Heights
- Homesite
- James Acres
- Jefferson Street
- Kennedy
- Kings Lake
- KINGS LAKE T/H
- Kingslake Townhomes
- Knox Springs Township
- Madison Point
- Madison Ridge
- Marlowe Brookwood
- Maxham Farm
- McDuffie
- McDuffie Heights
- Medlock Park
- Mill Park
- Mill Park Condominiums
- Misty Glen
- Misty Glen U-1 Was Coventry Cottage
- Mount Pisgah Estates
- NORTH RIDGE
- Nottingham
- Oak Estates / Golden Acres
- Oak Woods
- Oakhill Townhomes
- Oakhill/Townhomes
- Paces Creek
- Park Center Pointe
- PINE VIEW
- Pleasant Acres
- Ridge Point
- Ridge Pointe
- Rockingwood Estates
- Sanders Park
- Settlers Trail
- SHERWOOD PARK
- Silver Creek
- SILVER CREEK HILLS
- Silver Ridge
- SONGWOOD U-1
- South Gordon Hills
- Springchase
- Stephanie Chase
- Stephens
- stonebrook
- Stonecrest Townhomes
- Summerlin
- SWEETWATER MANOR
- SWEETWATER VALLEY
- The Enclave At Austell
- The Park at Silver Creek
- Tract 2
- Valley Lakes
- Victoria Grove
- Village at Anderson Mill
- Village on the Park
- Walton Reserve
- Wesley Heights
- Wesley Station
- Wildwood Forest
- Wilhelmina Hills
- Willow Bend
- Wintercrest
Property Summary
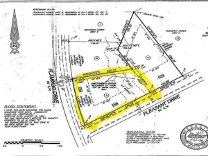
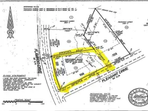
- Located in the Paces Creek subdivision, 6609 Crossing Creek Point Austell GA is a Land for sale in Austell, GA, 30168. It is listed for $35,000 and features 0 acres. To schedule a showing of MLS#7706867 at 6609 Crossing Creek Point in Austell, GA, contact your Windsor Realty agent at 678-395-6700.
Similar Listings Nearby

6609 Crossing Creek Point
Austell, GA
