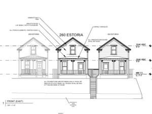
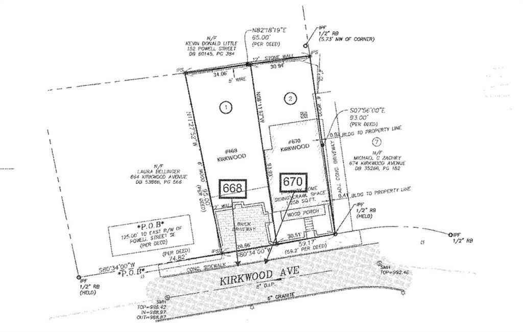
PROP_ADDRESS
PROP_CITY, PROP_STATE
PROP_BEDS Beds / PROP_BATHS Baths
PROP_ACRES
PROP_PRICE
The data relating to real estate for sale on this site comes from the Broker Reciprocity (BR) of the Atlanta, GA MLS. All properties are subject to prior sale, changes, or withdrawal.
This site was last updated Dec 09 2025 10:30:02 pm.






